Obavijesti

News

Komentari 30

Slavonsku kujicu Lenu metak je pogodio u šetnji, a sada živi s njim. 'Trči kao nikada prije!'

Slavonsku kujicu Lenu metak je pogodio u šetnji, a sada živi s njim. 'Trči kao nikada prije!'
8

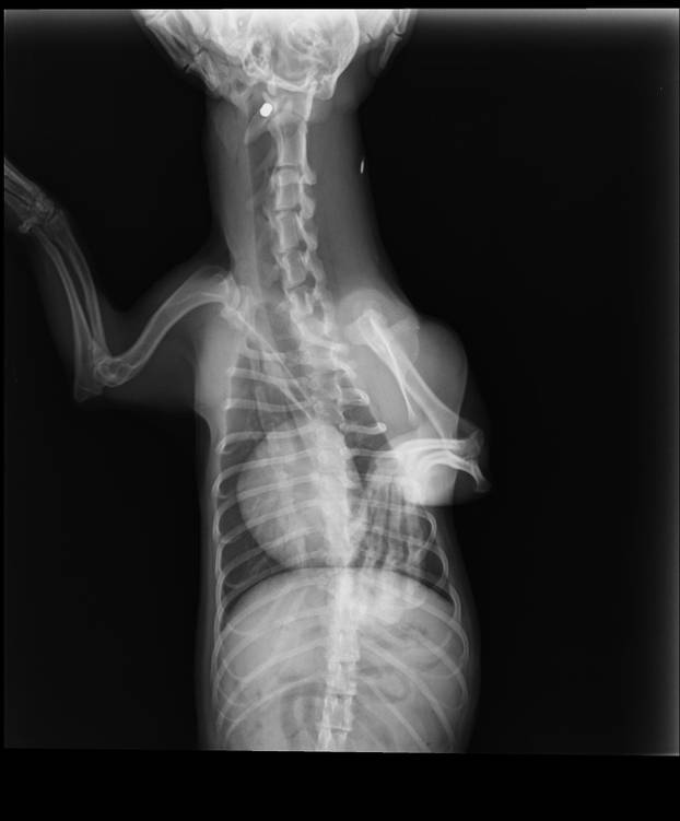
Metak je visoko gore i duboko kod kralješka. Zbog izazivanja većih lezija odustalo se od vađenja metka - stoji u nalazu kujice Lene

Admiral

U srijedu navečer kujica Lena u naselju Prekopakra u Pakracu išla je u svoju uobičajenu šetnju, koja i nije tako uobičajeno završila. Lena stresla se tijekom šetnje, a vlasnici tada ništa neobično nisu primijetili. Kada su došli doma, vidjeli su da joj iz vrata ide krv i brzo shvatili da je propucana iz zračne puške. Pomoć su odmah potražili u veterinarskoj stanici u Pakracu, gdje je Lena dobila antibiotik i analgetik, a zatim su u Daruvaru obavili detaljan pregled.

Kako nam pričaju vlasnici, Lena je oduvijek poseban i radostan pas, a ima tek 15 mjeseci. Ovaj događaj ih je šokirao, a plaši ih pomisao na ono što je moglo biti. Naime, uz Lenu imaju još tri psa koje obožavaju, ali Lena im je, kažu, drugačija.

- Lena se ponašala najnormalnije. Vidjeli smo krv tek kod kuće. Odmah smo je odveli veterinaru u Pakrac, ali uputili su nas dalje u Daruvar na rendgen. Veterinar Karaula je tada vidio da je metak zapeo i pokušao ga izvaditi pincetom. Svim silama se trudio i bio nadomak metka, ali uvijek je malo falilo. Metak je zapeo kod kralješka, jako duboko. Bilo mu je krivo, kaže da je to prvi put da nije uspio. Da je dalje pokušavao, riskirao bi oštećenje živca, a to ne bi bilo dobro - priča nam vlasnica.

Iskusni veterinar Mate Karaula, vlasnik veterinarske ordinacije, odmah je sve prijavio policiji. Već je više puta životinjama vadio metke pa je znao što mu je činiti - i s veterinarske strane, ali i one pravne.

- Oštro osuđujem ovakvo nemarno pucanje. Neka idu u streljane, a ne da se tako iživljavaju na nevinim životinjama. Poslao sam sve policiji, odmah sam prijavio. Inače, pomoću metka mogu pronaći vlasnika zračne puške iz koje je pucano. Ako i ne utvrde tko je točno vlasnik, imat će krug od njih nekoliko i sa svima će obaviti razgovore. Vjerujem da će to počinitelje barem zastrašiti, ako ne priznaju. Već je ranije tu u Daruvaru bilo slučajeva da bih poslao metak koji sam izvadio i policija bi pronašla počinitelja. Jedan je dobio i godinu dana zatvora zahvaljujući tome - priča nam Karaula.

Ipak, ovoga puta, metak koji je zapeo duboko nije mogao izvaditi jer bi tako dodatno ugrozio psa.

- Metak mu je došao jako blizu kralješka pa sam odlučio da je najbolje da ga ne diramo. Moglo bi biti opasno. Za dlaku je izbjegao veću nesreću - mogao je ostati paraliziran. Već sljedeći dan došli su na pregled kod mene, a Lena je bila vesela i razigrana. Ma, kao da je na baterije - priča nam doktor Karaula.

Da je Lena i dalje razigrana i vesela, potvrdila nam je i vlasnica te dodala da nikad više nije trčala nego sada. Svakako, u slučaju da primijete neko neobično ponašanje, Karaula im preporučuje da se hitno jave.

- Sinoć tijekom šetnje pas se trznuo, a kada su došli kući vidjeli su krv iz vrata. Bili su u stanici Pakrac i tamo su obradili ranu. Metak je veličine dijabole 6,10 - 5,16 mm. Metak je visoko gore i duboko kod kralješka. Zbog izazivanja većih lezija odustalo se od vađenja metka - stoji u nalazu kujice Lene.

Igre na sreću mogu izazvati ovisnost. 18+

Sve što je bitno, na dohvat ruke
Skini aplikaciju za najbolje iskustvo portala. Čitaj, komentiraj i budi uvijek u toku s najnovijim vijestima.
Komentari 30
'Još idem u osnovnu školu i imam sina. Tek mi je 14 godina'
ISPOVIJESTI IZ MAJČINSKOG DOMA U NAZOROVOJ

'Još idem u osnovnu školu i imam sina. Tek mi je 14 godina'

U domu u Nazorovoj je Majčinski dom za privremeni smještaj trudnicama i majkama, u najvećoj mjeri ovdje su maloljetnice sa svojim bebama. Ostati mogu dok se školuju, a kasnije živjeti i u stambenim zajednicama
Dabro je bio na popisu birača u Odžaku, poznanici: 'Obitelj s majčine strane je čestita srpska'
BiH KORIJENI

Dabro je bio na popisu birača u Odžaku, poznanici: 'Obitelj s majčine strane je čestita srpska'

Dabro je nedavno bio u Odžaku, a navodno ima i osobnu BiH
Policajci pred zoru čuli vrisak iz Une, najmanje jedan mrtav, traže još nekoliko ljudi...
KRAJ HRVATSKE KOSTAJNICE

Policajci pred zoru čuli vrisak iz Une, najmanje jedan mrtav, traže još nekoliko ljudi...

Hrvatska policija i članovi Hrvatske gorske službe spašavanja od jutra su u potrazi za ljudima, najvjerojatnije migrantima koji su završili u rijeci Uni kraj Hrvatske Kostajnice